Noticias publicadas el 23 de septiembre de 2025
El fuego, declarado en la zona del Camí de Ses Vinyes, ha calcinado matorrales y fue controlado a las 11.50 horas sin causar daños personales ni materiales de gravedad, según la Conselleria de Agricultura.
La Asociación Noches de Ibiza (AEON) califica la temporada de «muy preocupante» y denuncia que la limitación horaria les está «hundiendo». Piden al Ayuntamiento de Sant Antoni la derogación de la Zona de Protección Acústica Especial (ZPAE), que consideran nula por irregularidades técnicas y legales.
Más de 30 ciudades limitarán el acceso a vehículos con etiqueta B antes de 2028. Las Zonas de Bajas Emisiones afectarán al 60 % de la población
Algunas entidades ingresarán las pensiones el 23 de septiembre, mientras que la mayoría realizará el abono entre el 24 y el 25 del mes
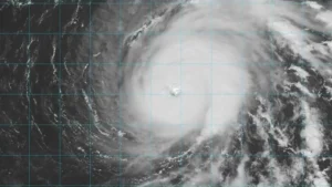
El huracán Gabrielle avanza por el Atlántico y podría convertirse en borrasca con impacto en Galicia, Cataluña y Baleares, según los modelos
El Ibiza Halloween Festival se celebrará del 29 de octubre al 2 de noviembre con concursos artísticos, proyecciones y actividades para todos los públicos
La banda británica actuará en Cartagena en una de sus últimas fechas dentro de los próximos años. El festival promete su edición más ambiciosa hasta ahora
Se trata de la directora médica y del subdirector del Área Quirúrgica, en lo que supone la tercera renuncia de peso en esta legislatura
La modelo sufrió una vasculitis con infarto visceral que la dejó con solo un 10% de energía y la obligó a hacer reposo absoluto durante años
La histórica cocinera de Santa Eulària, que durante décadas estuvo al frente de los fogones junto a su marido Vicent, falleció este lunes a los 77 años. El funeral se celebrará este martes en la iglesia de Sant Elm.
Endesa ha detectado 732 fraudes eléctricos en solo seis meses en las islas, con más de 10 millones de kWh defraudados. Buena parte están vinculados a plantaciones indoor de marihuana, que consumen tanta energía como 80 viviendas.
El nivel de las reservas hídricas de la isla ha caído al 27%, una situación que el PSOE califica de «grave». El Govern defiende sus medidas y culpa al anterior ejecutivo de una «sequía de inversiones».
Las pernoctaciones descendieron un 0,2% y el número de viajeros cayó un 1,64% en comparación con el mismo mes del año anterior. Sin embargo, las islas lideran la ocupación en España y registran un notable aumento en las tarifas hoteleras y en el empleo del sector.
El Ayuntamiento ha plantado 246 arbustos mediterráneos y ha mejorado la red de riego en el acceso al centro educativo y al campo de fútbol de Sant Agustí.
La Policía Nacional investiga la denuncia presentada por la víctima, un ciudadano italiano que fue atacado en la calle Quartó de Portmany.
Los martes en Ibiza 2025 llegan cargados de house, techno y pool parties icónicas en los mejores clubes de la isla













